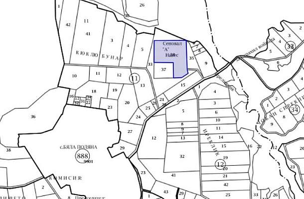
Земеделски/Поземлен имот, с. Бяла поляна
подаването на предложения изтича след 2 дни
Земеделски/Поземлен имот
Земеделски/Поземлен имот
9 006,00 кв.м
12 271.01 EUR
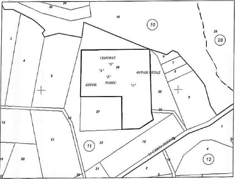
ПОЗЕМЛЕН ИМОТ №011038, находящ се в землището на с.Бяла Поляна, общ.Кърджали, ЕКАТТЕ 07658, целият с площ 9,006дка, с начин на трайно ползване: Овцеферма, при граници: поземлен имот №011037-Овцеферма на ДПФ; поземлен имот №011033, представляващ пасище, мера, записана на Кметство с Конево; поземлен имот №011036, представляващ полски път на Кметство с.Конево; поземлен имот №011035, представляващ пасище, мера, записана на Кметство с.Конево; поземлен имот №011033, представляващ пасище, мера, записана на Кметство с.Конево, ведно с построените върху имота ЕДНОЕТАЖНА МАСИВНА СГРАДА, представляваща НАВЕС, със застроена площ 847.51 кв.м.; ЕДНОЕТАЖНА МАСИВНА СГРАДА, представляваща БИТОВКА НА ОВЧАРЯ, със застроена площ 65.60 кв.м., състояща се от две стаи; ЕДНОЕТАЖНА МАСИВНА СГРАДА, представляваща СЕНОВАЛ, със застроена площ 500 кв.м.; ЕДНОЕТАЖНА МАСИВНА СГРАДА, представляваща ЦЕХ ЗА ФУРАЖ, със застроена площ 360.16 кв.м.По кадастрална карта – Поземлен имот с идентификатор №07658.11.38, с начин на трайно ползване – за животновъдна ферма, категория на земята: 0. Забележка: В имота е имало построени 4 сгради, които обаче са разрушени НАЧАЛНАТА ЦЕНА, ОТ КОЯТО ЩЕ ЗАПОЧНЕ НАДДАВАНЕТО, Е В РАЗМЕР НА:12 271,01 /ДВАНАДЕСЕТ ХИЛЯДИ ДВЕСТА СЕДЕМДЕСЕТ И ЕДНО ЕВРО И ЕДИН ЦЕНТ/ ЕВРО/80 % ОТ ПАЗАРНАТА СТОЙНОСТ НА НЕДВИЖИМИЯ ИМОТ, ОПРЕДЕЛЕНА ОТ ВЕЩО ЛИЦЕ СЛЕД РАЗПОРЕЖДАНЕ НА ЧСИ И ОТРАЗЕНА В ЗАКЛЮЧЕНИЕТО НА ЕКСПЕРТИЗАТА ЗА СТОЙНОСТТА НА НЕДВИЖИМИЯ ИМОТ/.
...пълно описание в документите по-горе


